Parduodamas žemės sklypas su ūkininko sodybos projektu ir leidimu statyboms Vindžiūnų k.
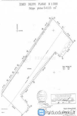
Parduodamas žemės sklypas su ūkininko sodybos projektu ir leidimu statyboms Vindžiūnų k. Kalvelių sen., Vilniaus raj. Sklypo plotas - 5,4115 ha. Paskirtis - žemės ūkio (kiti žemės ūkio paskirties sklypai). Atlikti kadastriniai matavimai.
Žemės sklypui yra parengtas kaimo plėtros Žemėtvarkos projektas ūkininko sodybos vietai parinkti. Yra leidimas ir projektas ūkininko sodybos - gyvenamojo namo ir pagalbinio pastato, pirties statyboms. Projektuojamo namo plotas 94,77 m², pagalbinio ūkinio pastato plotas - 114,35 m². Per sklypą eina 10 kW elektros linija.
Geras privažiavimas iki pat sklypo. Ribojasi su keliu.
Graži, vaizdinga vieta miškų apsuptyje.
Atstumas iki Vilniaus 36 km, iki Šumsko 4 km, iki Kalvelių 8 km.
Papildoma informacija tel.: *****
Skelbimas „Parduodamas žemės sklypas su ūkininko sodybos projektu ir leidimu statyboms Vindžiūnų k.“ paskutinį kartą atnaujintas 2024-11-19. Siūlome peržiūrėti naujausią „Sklypai“ turinį.











